众力资讯网

台风珊珊路径争议极大

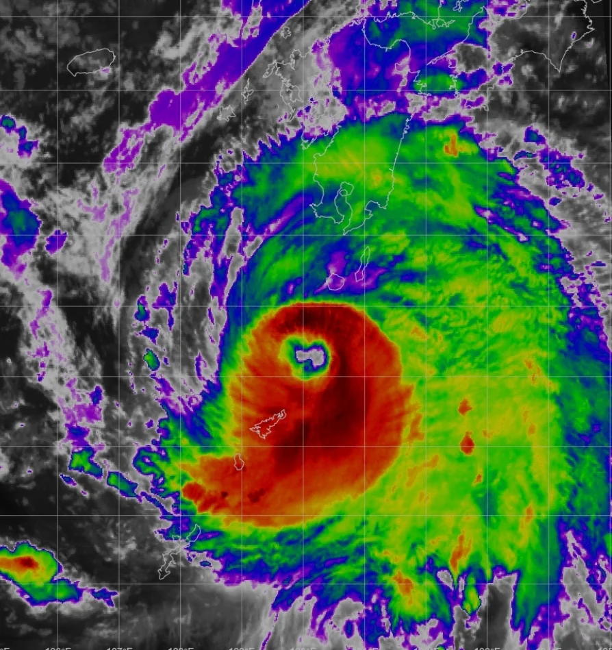
目前台风珊珊已经来到了日本西南部的海面上,在黑潮暖流的加持下,他的强度已经来到了超强台风级。然而由于他目前的行动速度过于缓慢,他的路径也再次迎来了争议。目前这个气象台的预报还是预报它会向东偏北方向折横扫整个日本。这个样子的话会对日本造成非常严重的影响影响,不光是大风影响,还会带来非常强烈的强降水天气。 在昨天夜间各个机构都做出了第二种预报,同时这种预报的概率也越来越大。他们都认为台风会在日本西南部打转,随后转向西偏南方向移动,再转向偏西方向移动,在东海海域进行加强随后登陆在我国东南沿海在深入内陆。这种路径对韩国,日本,中国是不想看到的局面。这样子的话,台风会在日本西部,韩国南部的海域上打转四到五天也就是会对韩国和日本西部地区四国岛和九州岛造成非常严重的影响会持续13级以上的风力一直肆虐这一片地区,随后向西南方向走,回到海面上发展。南下之后的东海以及日本以南的海域目前海面的温度非常高,非常有利于台风的发展,就很可能再次进行爆发式增强,这对于中国来说非常危险随后就会向西移动登陆在浙江,福建一带沿海这样子给中国也会带来非常非常大的影响 不过目前主流的气象台预报是没有发生变化的气象台都认为他还是会向东偏北方向横扫日本,但是部分机构已经给出了这样向西南方向折的预报,以我们必须要重视起来。一般气象台它是报一个相对稳妥的路径,对于新路线的更新相对滞后,像是去年的台风卡努,正是由美国的g fs最先提出会向东转折,这也引导了后面所有机构以及各个气象台的预报。而这一次也是g fs先提出来会向西南方向转折,到目前为止,不光是gfs ,现在ec,中国部分机构也调整为向西南方向移动所以这个路径也有可能性 不过目前大家先以气象台的预报为准,后续会更新。这两天也是台风路径是否转折的最关键的时候